首頁
台灣
世界
動物
圖文
娛樂
女生
出門
動漫
生活
公關專欄
編輯專欄
網人365
選擇語言:
還原
简体
繁體
關於我們
徵才
聯絡我們
刊登廣告
安卓APP
愛瘋APP
選單
首頁
台灣
世界
動物
娛樂
電影
星聞
影評
美漫
圖文
女生
時尚單品
美妝
感情
出門
旅遊
美食
動漫
動漫宅
遊戲
Cosplay
生活
求職
藝術
知識
星座
科技
小物
親子
公關專欄
編輯專欄
蘑菇宅
雪若Q談人蔘
Adrian
ChloE直講
網人365
今日紅什麼
本週主打星
TEEPR原創影片
叭啦叭啦研究室
TEEPR推一波
亮新聞
IG專區
首頁
台灣
世界
動物
圖文
娛樂
女生
出門
動漫
生活
公關專欄
編輯專欄
網人365
傲嬌茉茉寫的文章
痛到打滾?「5種經痛有異狀」 婦產科警告:快就醫
October 30, 2024
台灣
,
知識
門口都是血!台中二寶爸「遭狠砍3刀」傷口見骨 妻小目睹全程尖叫
October 30, 2024
台灣
周董哪首歌算代表作?網秒搶答:國中生都會
October 30, 2024
星聞
,
台灣
去天堂找姊姊了!彰化無照車禍案「妹妹搶救251天亡」 生前託夢:想回家了
October 30, 2024
台灣
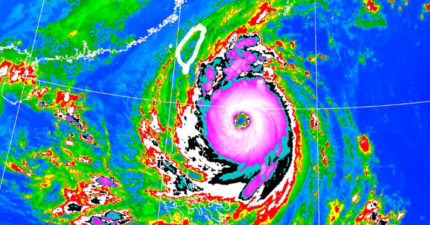
康芮持續擴大!全台風雨時程一次看 專家警告:不是鬧著玩的
October 30, 2024
台灣
男星萬聖節cosplay席琳狄翁「100%神還原」 本人也皺眉:哪個是我
October 30, 2024
星聞
,
台灣
康芮暴風圈增強到320公里!近20年來「襲台最大」
October 30, 2024
台灣
從影超過半世紀!資深男星「曾透過兒子捐肝續命」 今病逝享壽82歲
October 30, 2024
星聞
,
台灣
明停班停課?風雨預測更新 「7縣市」達標了
October 30, 2024
台灣
男生最不願娶的「女生職業排行榜」 護理師竟是第6
October 30, 2024
世界
被嗆「不婚不生老了就知道」 他愣:是要知道什麼?
October 30, 2024
台灣
北市隨機捅人!騎士中數刀「鮮血直流」躲飲料店求救
October 29, 2024
台灣
跳轉頁面
« 第一頁
‹ 上一頁
240
241
242
243
244
245
246
247
248
249
250
下一頁 ›
最後一頁 »
← Older posts
Newer posts →
兒童不宜內容
此內容只給年滿18歲的讀者觀看,如非18歲請退出!
我大人了啦!
未滿18歲
cwv3_den_title
cwv3_den_msg
未滿18歲