首頁
台灣
世界
動物
圖文
娛樂
女生
出門
動漫
生活
公關專欄
編輯專欄
網人365
 
選擇語言:
還原 简体 繁體
  • 關於我們
  • 徵才
  • 聯絡我們
  • 刊登廣告
  • 安卓APP
  • 愛瘋APP

TEEPR 亮新聞

選單
  • 首頁
  • 台灣
  • 世界
  • 動物
  • 娛樂
    • 電影
    • 星聞
    • 影評
    • 美漫
  • 圖文
  • 女生
    • 時尚單品
    • 美妝
    • 感情
  • 出門
    • 旅遊
    • 美食
  • 動漫
    • 動漫宅
    • 遊戲
    • Cosplay
  • 生活
    • 求職
    • 藝術
    • 知識
    • 星座
    • 科技
    • 小物
    • 親子
  • 公關專欄
  • 編輯專欄
    • 蘑菇宅
    • 雪若Q談人蔘
    • Adrian
    • ChloE直講
  • 網人365
    • 今日紅什麼
    • 本週主打星
  • TEEPR原創影片
    • 叭啦叭啦研究室
    • TEEPR推一波
    • 亮新聞
  • IG專區
首頁
台灣
世界
動物
圖文
娛樂
女生
出門
動漫
生活
公關專欄
編輯專欄
網人365

地方少女寫的文章

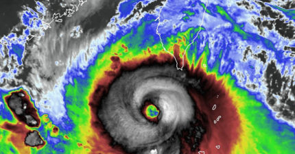
山陀兒急轉鬼切!明從「這2地」登陸襲台

October 1, 2024
台灣

吳慷仁表態了!轉發「我的祖國」賀中國國慶 陸網卻因1原因不買單

October 1, 2024
星聞, 台灣

他發現「台男已放棄追女生」 曝1關鍵:不如不要

October 1, 2024
感情, 台灣

山陀兒升強颱!「幾乎沒動」鬼轉撞進南部時間曝 氣象署:特別擔心

October 1, 2024
台灣

洗手驚見水槽「2粒緊盯」她嚇到尖叫 6周後結局出乎意料

September 30, 2024
世界, 動物

她翻出「古早味畢業照」 7、8年級生一看笑翻:我也有

September 30, 2024
台灣

校長深信黑魔法 為求財運竟「學生當祭品」勒斃

September 30, 2024
世界

台灣又一學校宣布倒閉!「23.6億校產」過戶給內政部 老師全失業

September 30, 2024
台灣

山陀兒登陸點又變!影響「再延至這天」強風豪雨時程曝

September 30, 2024
台灣

「最大夜市」驚傳熄燈!管委會證實了 最後營業時間曝

September 30, 2024
台灣

山陀兒升「非常強颱」!日氣象廳曝最新路徑:貫穿台灣

September 30, 2024
台灣, 世界

武嶺清晨「人潮擠爆」追颱風?真相揭曉:錯過再等3萬年

September 30, 2024
台灣
跳轉頁面« 第一頁‹ 上一頁221222223224225226227228229230231下一頁 ›最後一頁 »
← Older posts
Newer posts →
TEEPR原創影片
網人365
編輯專欄
公關專欄
生活
動漫
出門
女生
ChloE直講
科技
娛樂
Travel Seefood
圖文
小物
Adrian
親子
動漫宅
雪若Q談人蔘
動物
美漫
星座
遊戲
美妝
Jane的假的
影評
世界
知識
Cosplay
時尚單品
叭啦叭啦研究室
電影
蘑菇宅
台灣
本週主打星
美食
亮新聞
感情
旅遊
Girls Talk!
星聞
今日紅什麼
藝術
IG專區
激辯擂台
TEEPR推一波
求職
TEEPR 亮新聞 (Awesome Co. Ltd.) Copyright © 2014
DMCA.com Protection Status
關於我們
服務條款
隱私條款
聯絡我們
爆料信箱:[email protected]
聯絡專線:+886-2-7709-1699
 
兒童不宜內容

此內容只給年滿18歲的讀者觀看,如非18歲請退出!

我大人了啦!
未滿18歲
cwv3_den_title

cwv3_den_msg

未滿18歲